近日
仙桃市自然资源和城乡建设局发布两则
涉及三块商服住宅用地
均位于南城新区
其中一地块标明
竞得人需配建朝阳路初中(分校)
赶紧来看看地块详情
以下为本次土拍地块详细信息:

*图源仙桃市自然资源和城乡建设局
仙地[2024]20号
地块位置:沙嘴街道办事处朝阳大道以北,前通路以东
出让面积:72476.35平方米
土地用途:商住用地
出让年限:40/70年
拍卖时间:2024年9月4日9时至2024年9月4日15时

*实拍图,地块大小区位供参考
容积率:>1.0且≤1.54
建筑密度:≤35%
绿地率:≥30%
起始价:25940万元
起拍楼面价:2324.09元/㎡
其他条件:竞得人需配建朝阳路初中(分校),相关技术指标、配建标准(不含教学及生活设备)应满足教育部门的相关要求。项目竣工验收一个月内,学校用地及地上建筑物需无偿移交给教育局,移交时布置完善,可以直接开学上课。同时需在朝阳大道上配建一座跨沔阳公园的桥梁,投资不低于800万元。

*红线图
仙地[2023]159号
地块位置:规划康南路以东,规划奥南路以西、规划双湖路以北
出让面积:69463.13平方米
土地用途:商服、住宅用地
出让年限:40/70年
拍卖时间:2024年9月5日9时至2024年9月5日15时

*卫星图,地块大小区位供参考
容积率:>1.0且≤1.5
建筑密度:≤30%
绿地率:≥30%
起始价:26305万元
起拍楼面价:2524.60元/㎡

*红线图
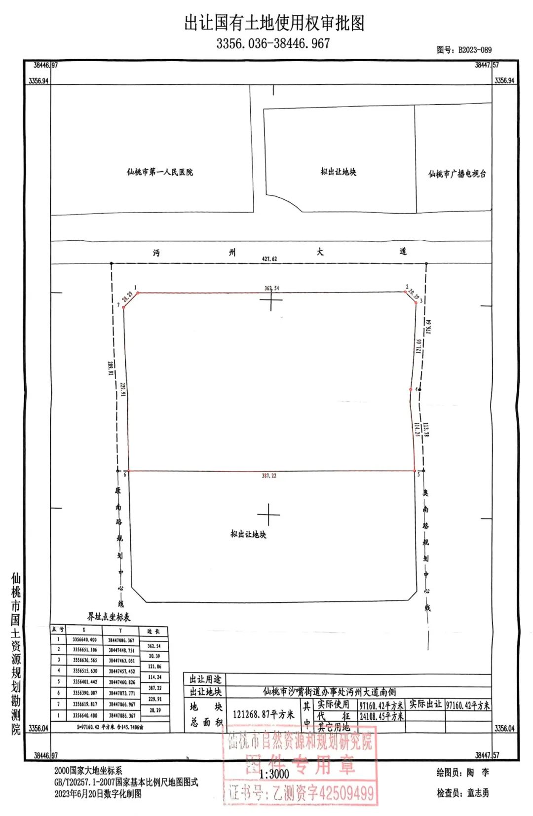
仙地[2023]160号
地块位置:规划康南路以东,沔州大道以南、规划奥南路以西
出让面积:97160.42平方米
土地用途:商服、住宅用地
出让年限:40/70年
拍卖时间:2024年9月5日9时至2024年9月5日15时

*卫星图,地块大小区位供参考
容积率:>1.0且≤1.5
建筑密度:≤30%
绿地率:≥30%
起始价:36902万元
起拍楼面价:2532.03元/㎡

*红线图

*实拍图,仙地[2023]159、160地块现状
此次三个地块均位于南城中芯地段
周边市政、公园、商业、医院、学校等
配套齐聚
其中如仙地[2024]20号地块顺利拍出
南城新区将迎来朝阳路初中(分校)
区域价值更上一层
后续土拍结果
【仙桃楼市】将持续为您关注!
如想获取更多信息,可扫描下方二维码,
添加小编阳阳咨询详情。

信息来源:仙桃市自然资源和城乡建设局