近日
据市自然资源和城乡建设局公示信息显示
南城新区刘口高架桥旁
挂牌出让一宗商服住宅用地
一起来看看地块详情
仙地[2024]112号

地块位置:沙嘴街道办事处刘口高架桥以东
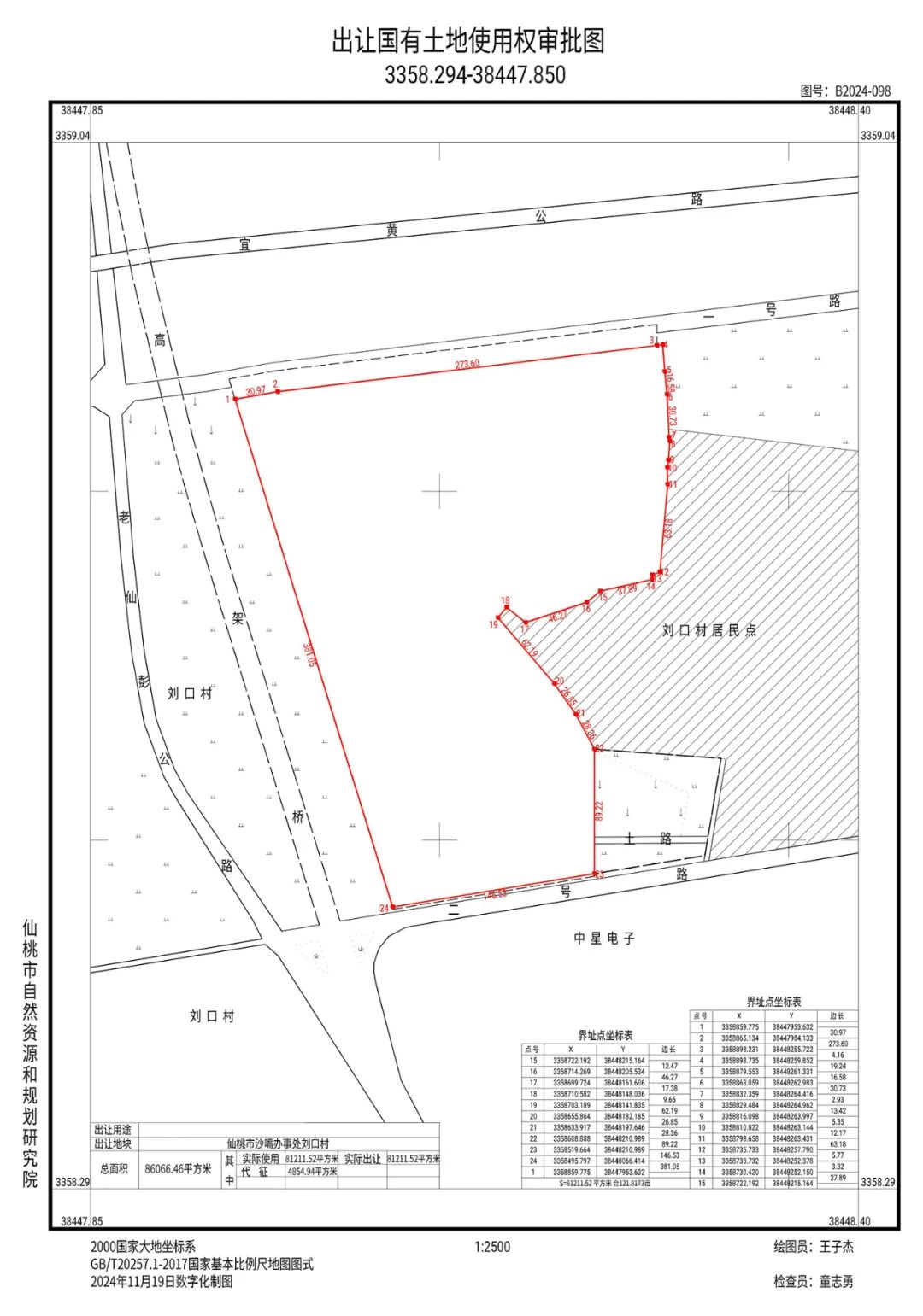
出让面积:81211.52平方米
土地用途:商服住宅
出让年限:40/70年

*实拍图,地块大小区位供参考
容积率:>1.0且≤2.4
建筑密度:≤35%
绿地率:≥35%
起始价:46380万元
起拍楼面价:2379.59元/㎡
仙地2024[112]号地块规划条件中,要求建筑高度为多层、高层,其中高层不得超过18层,高度不得超过54米。停车泊位要求≥1.0车位/户,且需按总建筑面积的2‰配建物业管理用房、体育健身设施、未成年人文化活动场所、社区居家养老服务用房、社区综合服务中心等,以及规划配建幼儿园。
此地块邻刘口高架桥,周边有新城壹号、现代·森林国际城等大型商住社区,及刘口社区众多居民区,片区内学校、公园、商业街、医疗等生活服务配套完善。


*公示信息

*红线图
除南城新区的商服住宅用地外
城西小南社区也挂牌出让一商业地块
仙地[2024]121号

地块位置:干河办事处小南社区
出让面积:13180.84平方米
土地用途:商业用地
出让年限:40年
容积率:>1.0且≤1.5
建筑密度:≤40%
绿地率:≥15%
起始价:2063万元
起拍楼面价:1043.43元/㎡

*实拍图,地块大小区位供参考

*公示信息

*红线图
此批地块将于
2024年12月13日9时至15时
进行拍卖
后续土拍结果
【仙桃楼市】将持续为您关注!
如想获取更多信息,可扫描下方二维码
添加小编阳阳咨询详情

信息来源:仙桃市自然资源和城乡建设局