2025年仙桃城区首块即将拍卖出让的商住用地,在南城新区,仙桃中学新校区旁。
近日,仙桃市自然资源和城乡建设局发布国有建设用地使用权拍卖出让公告 (仙土公字[2025]4号),一起来看看地块详情吧。
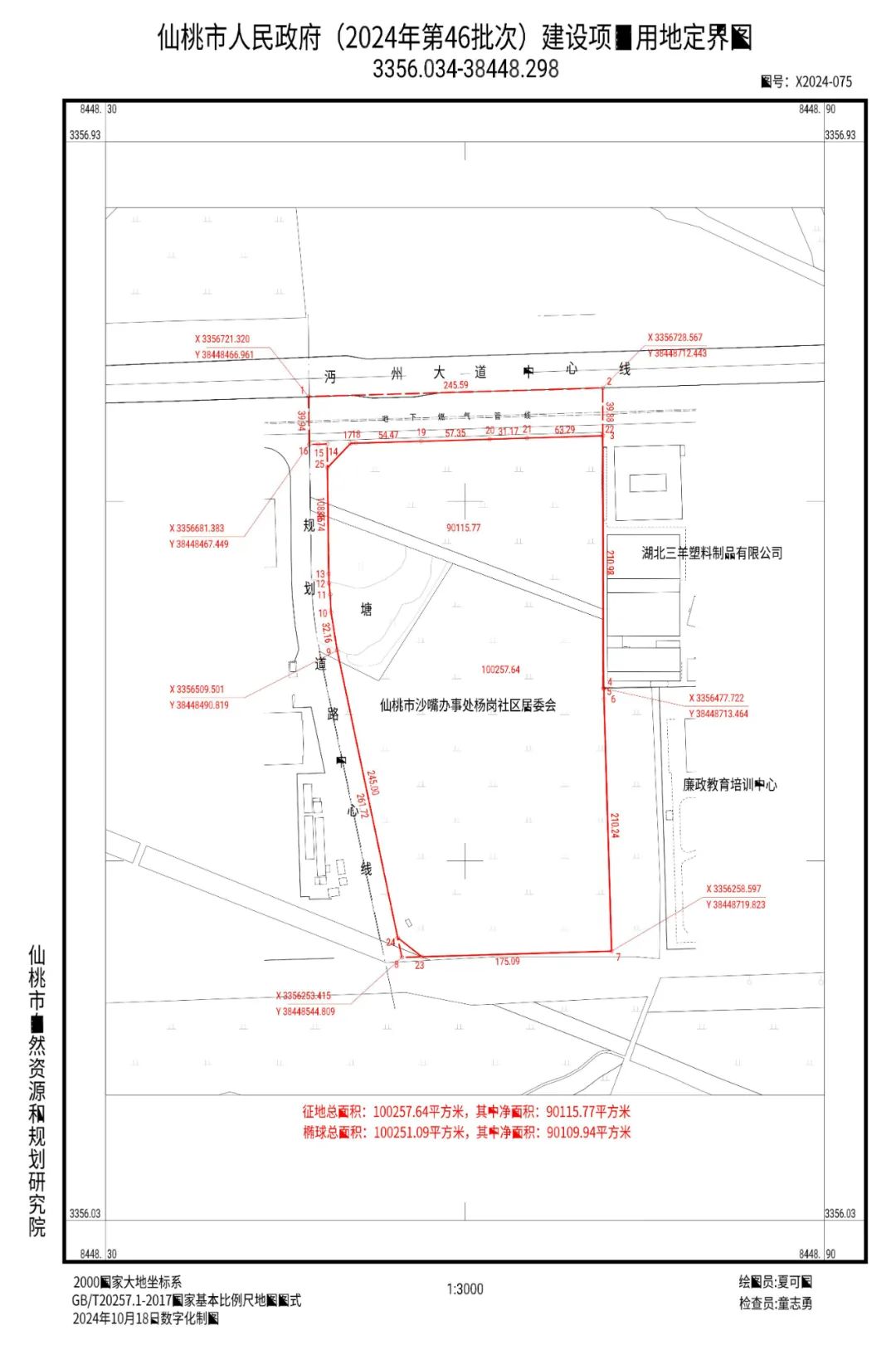
仙地[2025]14号
地块位置:沙嘴办事处沔州大道以南、沔阳中学以东
出让面积:90109.94平方米
土地用途:商住用地
出让年限:40/70年

*实拍图,地块大小区位供参考
容积率:>1.0且≤2.5
建筑密度:≤35%
绿地率:≥25%
起始价:60831万元
起拍楼面价:2700.30元/㎡
仙地2025[14]号地块规划条件中,要求建筑高度为低层、多层、高层,其中高层不得超过18层,高度不得超过54米。停车泊位要求居住≥0.8车位/户,配套商业≥1.1车位/100㎡建筑面积,且地面停车位数量不得超过住宅总套数的15%。
此外,住宅小区须按住宅总建筑面积的2‰配建物业管理用房、体育健身设施、未成年人文化活动场所、社区居家养老服务用房、社区综合服务中心、公共厕所等。

*公示信息

*红线图
仙地2025[14]号地块所属南城新区,目前交通、公园、商业、学校、市政、医疗等生活服务配套完善。
目前仙桃中学新校区周边,邻近的在售新建商品房项目只有城发投·书馨雅苑,此宗商住用地如若成功拍出,新建小区将与仙桃中学新校区直接比邻而居。此地块将于2025年2月17日进行网上竞拍,后续成交情况,【仙桃楼市】将持续关注。
信息来源:仙桃市自然资源和城乡建设局
长按识别小编号(xtfw123)
更多买房资讯、城建动向与您共享!
